
Coral. According to the dictionary, it is “a hard stony substance secreted by certain marine coelenterates as an external skeleton, typically forming large reefs in warm seas.” Honestly, that just does not sound like something I really want to look at while swimming in the water. Soon, my mind would be changed.
We arrived at the reef outside of the two islands of Taha’a and Ra’iatea early in the morning just as the sun was rising. We saw our first water huts, looking quiet and peaceful. The islands here are quite a bit more mountainous, up to 3000 feet, and the view was a nice one to wake up to. We entered the lagoon and motored about for quite a while until we anchored. We knew that one of the Motu’s (islands) near us was going to be the one for the ships BBQ lunch.

The two islands, vastly different, are surrounded by the same reef and it is believed that they were one island years ago. Taha’a, the quietest of the Society Islands, is known as the vanilla island as it produces 70-80% of the vanilla in the French Polynesians. The island is also a natural greenhouse for the Tahitian Vanilla Orchid, and they produce about 25 tons annually. Over 100 years ago it was between 150 and 200 tons. The flower only blooms for a few hours and it must be pollinated by hand. There are acres of vanilla plants here so I cannot imagine the sense of urgency on that one day.

Ra’iatea means bright sky, faraway heaven, and sky with soft light depending on where you look. It is the second largest island after Tahiti and has a small road that circles the island. There is also an airport and there is a port in the town of Uturoa serving larger container ships. According to traditions of the Maoris of New Zealand, this is where their people came from and they consider this a sacred island. There is not much tourism here as it is a remote island with only 5000 residents, but you can see Bora Bora in the distance and many stay on Bora Bora and take a boat trip to these islands.

We knew that today would be our Motu BBQ in the afternoon so we had time to do some more snorkeling. I have never been a big fan of looking at fish and coral, but we had heard that this was a really well packed area with live coral and many fish. It was also going to be drift snorkeling, something I had never heard of.

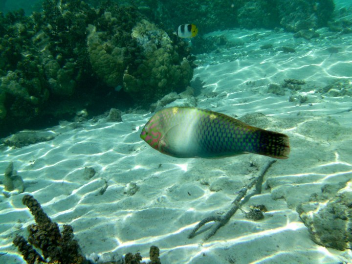
Drift snorkeling in the Coral Gardens was the best snorkeling trip I have ever experienced! Michael, our tour guide, drove us to the island where there is a narrow path between the two islands. The water always comes in from one direction allowing you to drift over the vast amount of corals and fish.

We were given instructions to follow Michael, as he would lead us into the best path. I am glad we followed him! Several people who were in our group just did the one pass as they were not very comfortable drifting just over the top of the coral in some areas and having to turn some sharp corners. I will admit, it is not for beginners but if you relax and just let the water take you, there will not be too many times where you have a panic situation. I did end up behind a guy who was just a pain! He wanted to take 1000 pics every three feet and kept trying to stop. In a strong current. Trust me. That just does not work when you have 10 people behind you! I finally passed him by and enjoyed the rest of that drift. The pictures are not that great as we do not have a super underwater camera, but the coral was alive, amazing and like nothing I had ever seen before. I could have drifted five more times!


After we were done, we were taken back to the ship where we quickly changed and got on the tender to the Motu Mahaea. What an idyllic spot! Windstar, like many other cruise lines, owns/rents an island to hold their own party day. There were lounge chairs set up on the beach, snorkeling, paddle boarding and the ever fun drink mixing demonstration. They had a great BBQ set up and tables all around. There were several nets hanging from the trees, which I did not understand until I saw the sign.

We did enjoy a relaxing afternoon here and it was hard to leave. We could have stayed forever if they only had hammocks and a snorkel drifting area.

If you are staying at a resort, they can recommend a place if they do not have them. I think you have more options on Bora Bora and that is where we rented a small power boat. Harder to find sailboat rentals and we did look for some.
LikeLike
Thank you.
LikeLike
I am looking to rent a Hobie or other small 2-4 person sailboat for a day trip to Tahaa. Any suggestions?
LikeLike